Public Media for the Yukon-Kuskokwim Delta
Play Live Radio
Next Up:
0:00
0:00
0:00 0:00
Available On Air Stations

ONC Plans To Add Affordable Housing In Bethel

The proposed location of the Ciullkulek Subdivision.
Calvin Cockroft
/
ONC

Last month, Bethel City Council introduced an ordinance to enter into an agreement with the Orutsararmiut Native Council to develop the Ciullkulek Subdivision. This happened the same month that the city approved the Blue Sky Subdivision agreement. 

ONC Executive Director Peter Evon says that Ciullkulek Subdivision’s focus on affordable housing makes it different from the Blue Sky Subdivision. 

Evon explained that there is a list of criteria that prioritizes applicants to ONC’s housing program that includes income, tribal membership, employment, and current housing condition. 

“They’ll give people a chance that normally wouldn’t have an opportunity to actually own their own home or rent,” Evon said.

And there’s something else special about Ciullkulek Subdivision that gets Evon really excited.

“Our council has expressed interest in building a senior center that will be coupled along with a teen center and hopefully a childcare center,” Evon said. “Where Elders are talking to children and all the way down the line because, you know, that’s part of our culture.”

The project will take some time, though. ONC Tribal Housing Director Calvin Cockroft estimates that "by end of next summer I think the roads will be complete and the electrical distribution will be in place, and that would set us up for building homes the following year.”

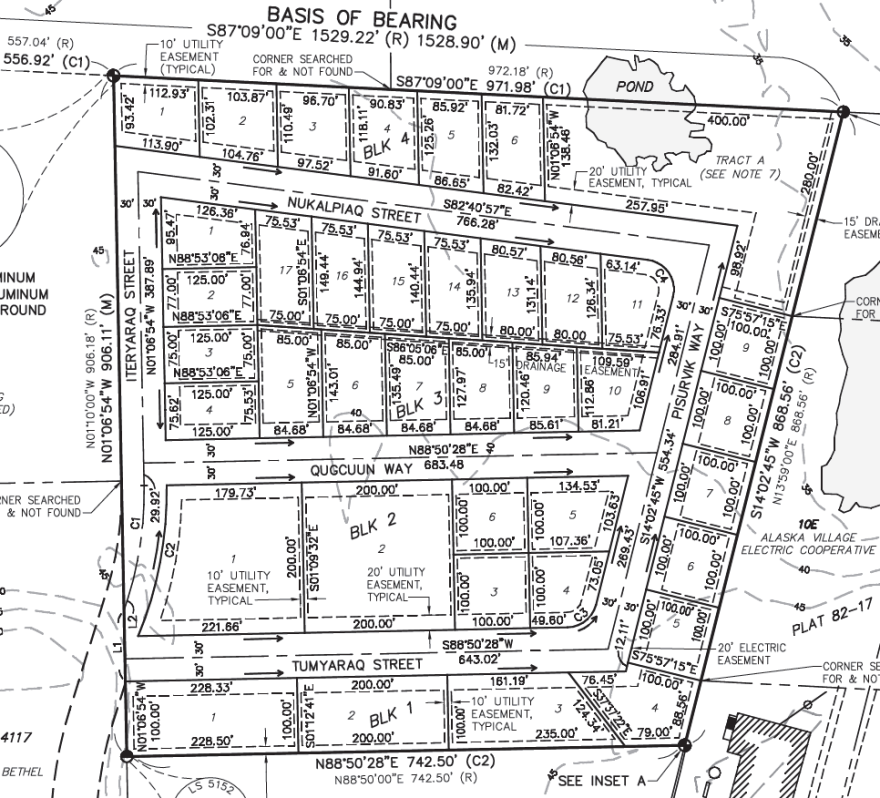
Ciullkulek Subdivision blueprint
Credit Calvin Cockroft / ONC
/
ONC
Ciullkulek Subdivision blueprint

But first, the city council has to approve the agreement. Even after that, Cockroft expects that they’ll be able to build about four homes per year. With around 40 lots in the subdivision, it will take more than a decade to finish all of the homes and the community center. 

The funding will come from federal block grants, meaning that the money will dribble in one year at a time instead of all at once. That slows down construction, but if the city approves the subdivision agreement, ONC can apply for more grants.

The Ciullkulek Subdivision agreement is on the agenda for the regular city council meeting on May 14.

Greg Kim was a news reporter for KYUK from 2019-2022.
Related Content